喉是人体发出声音的主要器官,声音嘶哑是喉部病变的特有症状。病变轻时,声音失去清亮、圆润的音质,变低,变粗。严重时声音嘶哑,甚至只能像耳语一样,或者完全失音。引起声嘶哑的主要疾病有急性或慢性喉炎、声带结节、声带或喉息肉、喉良性肿瘤、喉神经麻痹等。
声音嘶哑患者【注意事项】
(1)睡觉时,侧卧为宜,勿张口。
(2)治疗期间,禁绝烟、酒。
(3)忌食辛辣、油腻的食物。
中草药方
偏方1:罗汉果汤
【配方】罗汉果1个。
【用法】罗汉果切片,加水煎约20分钟,待凉频服。
【功效】宣肺化痰,利咽喉。辅助治疗声音嘶哑。
【来源】民间验方。
偏方2:青蒿煎剂
【配方】青蒿干品60克(鲜者120克)。
【用法】上药加清水1000毫升,武火急煎,或用开水冲泡代茶饮,每日1剂,分2~3次服。
【功效】辅助治疗失音(音哑)。
【来源】《山东中医杂志》,1986(1)。
偏方3:咸橄榄芦根茶
【配方】咸橄榄4枚,干芦根30克(鲜品60克)
【用法】芦根切碎,咸橄榄去核,加清水2碗半,煎至1碗。每日1次,代茶饮。
【功效】清热生津,利咽喉。辅助治疗声音嘶哑、喉部有异物感,伴神疲体倦等。
【来源】民间验方
偏方4:胖大海橄榄茶
【配方】胖大海3枚,橄榄6克,绿荼6克,蜂蜜1匙。
用法】橄榄打碎,水煎片刻,冲泡绿茶、胖大海。闷盖片刻,调入蜂蜜,徐徐饮汁。
【功效】本方养阴生津,辅助治疗声音嘶哑、失音经久不愈。
【来源】民间验方
偏方5:金针叶蜜汁
【配方】金针叶30克,蜂蜜15克。
【用法】金针叶加水1杯,煮好后在汁液中加蜂蜜15克服用,1日内分3~4次喝完。
【功效】解热、润喉、止咳,辅助治疗声音沙哑。
【来源】民间验方。
偏方6:芥菜干汤
【配方】腌陈芥菜干15~30克。
【用法】将腌陈芥菜干用开水冲汤,略浸待凉后含漱或内服。每日1剂,频服。
【功效】通肺开胃,利气豁痰。辅助治疗失音,伴恶寒、发热、头痛等症
【来源】民间验方。
偏方7:蝉蜕饮
【配方】蝉蜕18克,冰糖少许。
【用法】将蝉蜕拣净去足、土,与冰糖一起开水冲泡代茶饮,每日1剂。
【功效】治疗因外感、郁怒等所致卒然失音或声音嘶哑。
【来源】《四川中医》,199(7)
偏方8:桂圆参蜜膏
【配方】党参250克,沙参150克,桂圆肉120克,蜂蜜适量。
【用法】前3味加水适量浸泡后,加热煎煮,每20分钟取煎汁1次,共取3次。合并煎液,以文火煎熬浓缩至黏稠如膏时,加蜂蜜1倍,熬至沸,待冷装瓶备用。开水调服2匙,每日2-3次。
【功效】本方清肺补气,辅助治疗咽喉干痛、声音嘶哑。
【来源】民间验方。
偏方9:胖大海饮
【配方】胖大海3枚,白糖适量。
【用法】开水冲泡胖大海,饮时加入白糖少许。频饮。
【功效】开肺清气利喉,辅助治疗声音嘶哑、头痛等症。
【来源】民间验方
偏方10:芫荽冰糖茶
【配方】芫荽、茶叶、冰糖、盐各适量。
【用法】上物一起放进大茶碗中,用滚开水冲入,随即从火炉中挟起一块烧红的木炭,投入大碗内,用盖子将碗盖好,待5分钟后,即可倒出饮用。
【功效】适用于用嗓过度引起的喉咙嘶哑、失音者。
【来源】民间验方。
偏方11:荷花汁酒
【配方】鲜荷花、黄酒各适量。
【用法】鲜荷花捣汁,和入黄酒,频频含漱,每日数次。
【功效】辅助治疗烟酒过度、咽喉炎引起的声音嘶哑
【来源】民间验方。
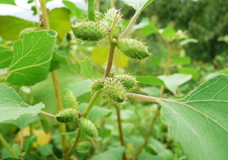
偏方12:止咳清音合剂
【配方】鲜苍耳根茎250克,盐适量。
【用法】将鲜苍耳根茎洗净,加水1000毫升,煎煮20分钟即可,加盐调味,每日1剂,代茶频饮。
【功效】辅助治疗咳嗽失音。
【来源】《广西中医药》,1988(3)。
偏方13:牛蒡子茶
【配方】牛蒡子200克。
【用法】牛蒡子拣去杂质,置炒锅内,文火炒至微鼓起,外呈黄,略带香。取出,放凉,研成细末,开水冲泡,当茶频饮。
【功效】本方散风消肿,辅助治疗咽喉疼痛、声音嘶哑等症。
【来源】民间验方。
偏方14:柿霜茶
【配方】柿霜3克
【用法】放人温开水中化服,每日3次。
【功效】清肺热,利咽喉。辅助治疗咽喉疼痛、失音等症。
【来源】民间验方。
偏方15:枇杷果酱
【配方】枇杷果肉1000克,冰糖1200克。
【用法】冰糖捶碎,加清水适量熬,加人枇杷果肉熬稠,冷却装瓶。每日食2汤匙。
【功效】润肺、止咳、护嗓,辅助治疔声音嘶哑,失音。
【来源】民间验方。
偏方16:鸡心末方
【配方】公鸡心7个,黄酒适量。
【用法】公鸡心焙黄研细末,分作7包,第1次服1包,第2次和第3次各服3包,以热黄酒冲服,服后发汗,未愈再服
【功效】适用于声带损伤的失音患者。